

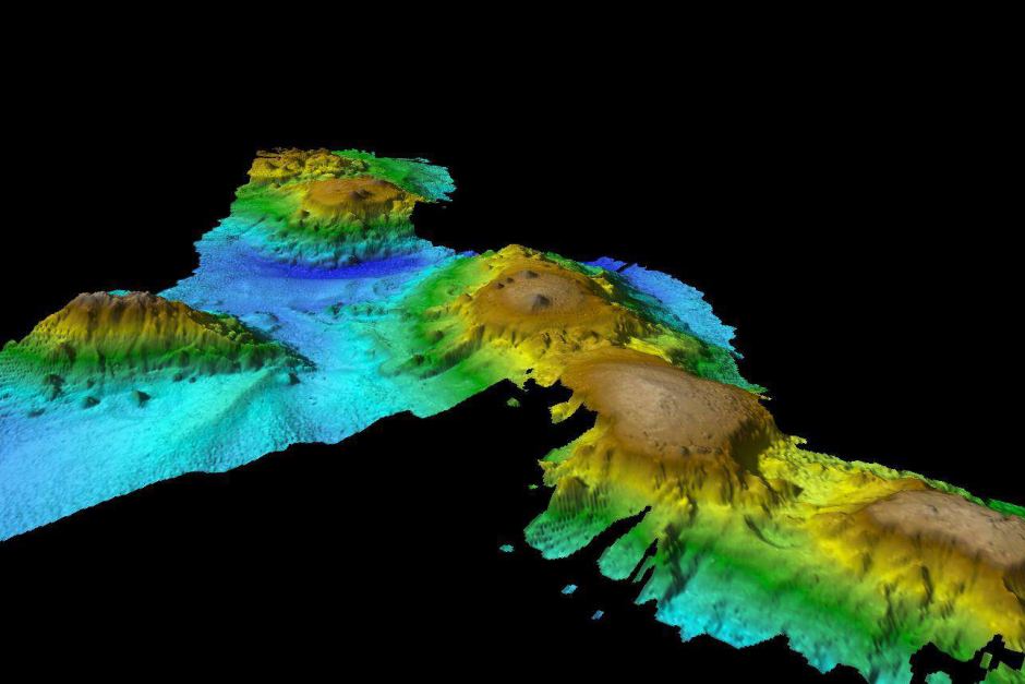
Scientists have uncovered a chain of volcanic seamounts towering up to three kilometres from the seafloor off Tasmania’s east coast that are proving a food magnet for marine life.
The underwater mountains, which are nearly two kilometres below the surface, were mapped by the CSIRO’s research vessel Investigator, 400 kilometres off the coast.
Dr Tara Martin, from the CSIRO mapping team, said some of the seamounts have sharp peaks while others have wide, flat plateaus.

“We’re pretty sure that these seamounts were related to the break up of Australia and Antarctica. It was about 30 million years ago,” she said.
“So as Australia and Antarctica and Tasmania all broke up, a big hotspot came in under the Earth’s crust, made these volcanoes and then helped the Earth’s crust break so that all of those areas could start to drift apart.”
Dr Martin said sonars were used to map the seamounts in high resolution as the ship moved forward.
“They [seamounts] tell you a lot about how the Earth formed, how the various crusts have moved around and they strongly influence the way that ocean currents move,” she said.
“Who can imagine that there are three-kilometre-high mountains tucked in under the Earth’s waves.”
Dr Eric Woehler from Birdlife Tasmania recorded seabirds and mammals on the ship’s voyage.
He said they found large numbers of marine life in the area, with more than 28 humpback whales and up to 80 long-finned pilot whales over the chain of seamounts.

“The seamounts provide a remarkable diversity of seabirds and marine mammals far greater in abundance than what we had in Australian waters,” he said.
“These seamounts act to change the oceanography in these areas.
“They change the way the water flows around them. They change the dynamics of the system. You’re seeing upwellings and nutrient growth.”

Dr Woehler said he was surprised to see so many whales.
“It was clear that these seamounts provided a feeding stop for these animals,” he said.
April Abbott, a geochemical oceanographer from Macquarie University, said her team collected sediment to learn about the area’s past.
“One of our big interests is climate change so we can look at how this area has changed over the past 1000 years and start to understand how the currents are interacting in the modern ocean,” she said.
“By understanding what’s going on out there today, using the sediments to go back thousands of years in the past, we can start to predict what might happen over the next 100 or 1000 years.”

–ABC








