
An Australian-assisted search for flight MH370 has discovered “man made objects” about 4km under the surface of the southern Indian Ocean, but they are not linked to the missing Malaysia aircraft.
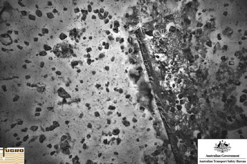
The Australian Transport Safety Bureau confirmed that the Fugro Equator’s deep tow system detected a cluster of small sonar contacts this week, which were thought to be from an ancient shipwreck, comprising an anchor and other items.
The sonar data was carefully analysed and categorised as of “potential interest but unlikely to be related to MH370”.
• MH370 search zone could be expanded
• MH370 probe ‘asleep’ Malaysia worker
• MH370 underwater locator battery ‘expired’: report
It could not, however, be ruled out.

ATSB’s director of the Operational Search for MH370 Peter Foley said they were naturally disappointed that it wasn’t the aircraft.
“We were always realistic about the likelihood,” Mr Foley said.
“This event has really demonstrated that the systems, people and the equipment involved in the search are working well. It’s shown that if there’s a debris field in the search area, we’ll find it.”
Analysis of the images this week revealed the wreck was previously uncharted and the imagery will be provided to expert marine archaeologists for possible identification.
Another vessel with more sensitive equipment was asked to divert to the area to further investigate the discovery.
A high-resolution scan found a “large number of sonar contacts lying very close to the sea floor, at a depth of around 3900 metres” – or close to 4km.
Most of the items were the size of a cricket ball but some larger items were also found, the biggest of which was box-shaped and about six metres long.
“We were cautious about this. It’s a fascinating find, but it’s not what we’re looking for,” Mr Foley said.
“We’re not pausing in the search for MH370, in fact the vessels have already moved on to continue the mission.”
Fugro Supporter has now withdrawn from all search operations due to deteriorating weather causing rough seas that will worsen in winter and limit use of the automated underwater vehicle.
But other vessels will continue the search during winter.
Tuesday night’s Federal Budget included $79.6 million in funding across two years for the ongoing search for MH370, taking Australia’s total commitment since March 2014 to nearly $90 million.
Malaysia is expected to match Australia’s contribution meaning the total cost of the search could reach $180 million.
The Malaysia Airlines aircraft disappeared 14 months ago on a flight from Kuala Lumpur to Beijing. There were 239 people on board, including six Australians.








